REQUEST A TOUR If you would like to see this home without being there in person, select the "Virtual Tour" option and your agent will contact you to discuss available opportunities.
In-PersonVirtual Tour

$ 127,900
Est. payment /mo
Active
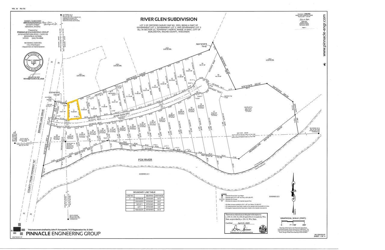
Lt2 RIVER GLEN WAY Burlington, WI 53105
0.37 Acres Lot
UPDATED:
Key Details
Property Type Vacant Land
Listing Status Active
Purchase Type For Sale
Subdivision River Glen
MLS Listing ID 1933865
Tax Year 2024
Lot Size 0.370 Acres
Acres 0.37
Property Description
Introducing River Glen! Nestled in the quaint and charming town of Burlington, this brand-new community by Bear Homes offers 32 desirable homesites along the scenic Fox River. With the convenience of municipal water and sewer, you can build your dream home with a trusted local builder. Don't miss the chance to be among the first to secure your spot in this fabulous new neighborhood!
Location
State WI
County Racine
Zoning Residential
Exterior
Utilities Available Cable, Electricity, High Speed Internet Available, Natural Gas, Telephone, Underground Electric
Building
Lot Description Finished Lots, Site Plan Recorded, Curb/gutter, Sidewalks
Sewer No Water Presently, Municipal Sewer, Municipal Water, Municipal Water Required
New Construction N
Schools
Middle Schools Nettie E Karcher
High Schools Burlington
School District Burlington Area
Others
Acceptable Financing Build to Suit
Listing Terms Build to Suit
Copyright 2025 WIREX - All Rights Reserved
Listed by Bear Realty , Inc. Ken

Get More Information
Quick Search


